Partnerzy serwisu:
Przestrzeń

Tramwaje Warszawskie z ofertami na projekt rozjazdów na Rondzie Daszyńskiego

Dalej Wstecz
Data publikacji:
29-03-2024
Ostatnia modyfikacja:
29-03-2024
Tagi geolokalizacji:

Podziel się ze znajomymi:

PRZESTRZEŃ
Tramwaje Warszawskie z ofertami na projekt rozjazdów na Rondzie Daszyńskiego
mat. TW
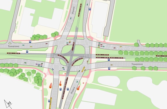
Tramwaje Warszawskie otworzyły oferty w postępowaniu na dokumentację projektową dla przebudowy układu torowego na rondzie Daszyńskiego. Po przebudowie – na razie dość odległej – możliwy ma być skręt tramwajów w trzech relacjach, pojawią się wydzielone tory do skrętu, usytuowanie zmienią przystanki.

Przedmiotem zamówienia jest opracowanie dokumentacji przebudowy infrastruktury tramwajowej na skrzyżowaniu ulic Towarowej i Prostej. W sumie założono budowę rozjazdów w trzech relacjach (północ – zachód, północ – wschód i południe – zachód). Dwie z tych relacji (północ – zachód i południe – zachód) już istniały do czasu budowy centralnego odcinka II linii metra, którego budowa ruszyła w 2010 r. Do tego w ciągu Towarowej – zarówno od strony pl. Zawiszy, jak i Kercelaka – zostaną wydzielone trzecie tory do skrętu, co ma zapewnić zwiększoną przepustowość przejazdu tramwajów. – Nowe relacje zwiększą elastyczność sieci tramwajowej, zwłaszcza w czasie remontów i innych objazdów – mówi Maciej Dutkiewicz, rzecznik prasowy Tramwajów Warszawskich.

Usytuowanie zmienią perony na Towarowej – zostaną przesunięte za skrzyżowania (obecnie są przed skrzyżowaniem). – Chodzi o większą elastyczność sterowania zieloną falą i grupowanie tramwajów jadących w jednym kierunku na jednym wspólnym przystanku – mówi Dutkiewicz. Długość peronów ustalono na 68 m, a sugerowana szerokość min. 3,5 m (dostępna powierzchnia dla pasażerów nie może być mniejsza niż 3 m). Założono bezpodsypkową konstrukcję torowiska tramwajowego z zieloną zabudową – z umożliwieniem dojazdu do zwrotnic. Rozstawy normalne osi torów określone w normie powinny być zwiększone o 0,1 m (tj. zamiast 2,90 m – minimum 3,0 m; zamiast 3,90 m – minimum 4,0 m). Założono przebudowę sieci trakcyjnej – z wymianą konstrukcji wsporczych aż do ul. Kolejowej. Zmieni się też organizacja ruchu na rondzie. Zamawiający będzie musiał uzyskać wszelkie uzgodnienia i pozwolenia umożliwiające start prac.

W połowie tygodnia (27 marca) minął termin składania ofert. Wystartowały dwie firmy. Databout wyceniło zlecenie na 1,341 mln zł brutto, a Cone AMG – 1,800 mln zł. Budżet wynosi natomiast 1,341 mln zł brutto. Jedynym kryterium wyboru jest cena. Postępowanie jest prowadzone w trybie podstawowym z możliwością negocjowania treści ofert w celu ich ulepszenia. Dokumentacja projektowa ma być gotowa w ciągu 101 tygodni. Projektanci będą pełnili też nadzór autorski w czasie realizacji – nie później niż do 31 grudnia 2031 r. Jak zapowiadają Tramwaje Warszawskie – przebudowa ronda jest zaplanowana do roku 2030, choć wybór terminu będzie zależał od innych inwestycji, w tym m.in. przygotowywanej i odkładanej przebudowy kolejowej linii średnicowej.
Tagi geolokalizacji:

Podziel się z innymi:

Pozostałe z wątku:

Tramwaje Warszawskie zapraszają na dzień otwarty Zajezdni Annopol

Komunikacja

Tramwaje Warszawskie zapraszają na dzień otwarty Zajezdni Annopol

Tramwaje Warszawskie 08 maja 2025

Budowa metra na Bemowie. Zmiany w kursowaniu tramwajów

Komunikacja

Warszawskie tramwaje na niezawodnym i bezpiecznym zasilaniu

Komunikacja

Zobacz również:

Pozostałe z wątku:

Tramwaje Warszawskie zapraszają na dzień otwarty Zajezdni Annopol

Komunikacja

Tramwaje Warszawskie zapraszają na dzień otwarty Zajezdni Annopol

Tramwaje Warszawskie 08 maja 2025

Budowa metra na Bemowie. Zmiany w kursowaniu tramwajów

Komunikacja

Warszawskie tramwaje na niezawodnym i bezpiecznym zasilaniu

Komunikacja

Zobacz również:

Kongresy
SZKOLENIE ON-LINE
Śledź nasze wiadomości:
Zapisz się do newslettera:
Podanie adresu e-mail oraz wciśnięcie ‘OK’ jest równoznaczne z wyrażeniem zgody na:
  • przesyłanie przez Zespół Doradców Gospodarczych TOR sp. z o. o. z siedzibą w Warszawie, adres: Sielecka 35, 00-738 Warszawa na podany adres e-mail newsletterów zawierających informacje branżowe, marketingowe oraz handlowe.
  • przesyłanie przez Zespół Doradców Gospodarczych TOR sp. z o. o. z siedzibą w Warszawie, adres: Sielecka 35, 00-738 Warszawa (dalej: TOR), na podany adres e-mail informacji handlowych pochodzących od innych niż TOR podmiotów.
Podanie adresu email oraz wyrażenie zgody jest całkowicie dobrowolne. Podającemu przysługuje prawo do wglądu w swoje dane osobowe przetwarzane przez Zespół Doradców Gospodarczych TOR sp. z o. o. z siedzibą w Warszawie, adres: Sielecka 35, 00-738 Warszawa oraz ich poprawiania.
Współpraca:
Rynek Kolejowy
Rynek Lotniczy
Rynek Infrastruktury
TOR Konferencje
ZDG TOR
ZDG TOR
© ZDG TOR Sp. z o.o. | Powered by BM5
Zamknij